社區詳情
珍愛金城·相簿
全部圖片(3)
街景
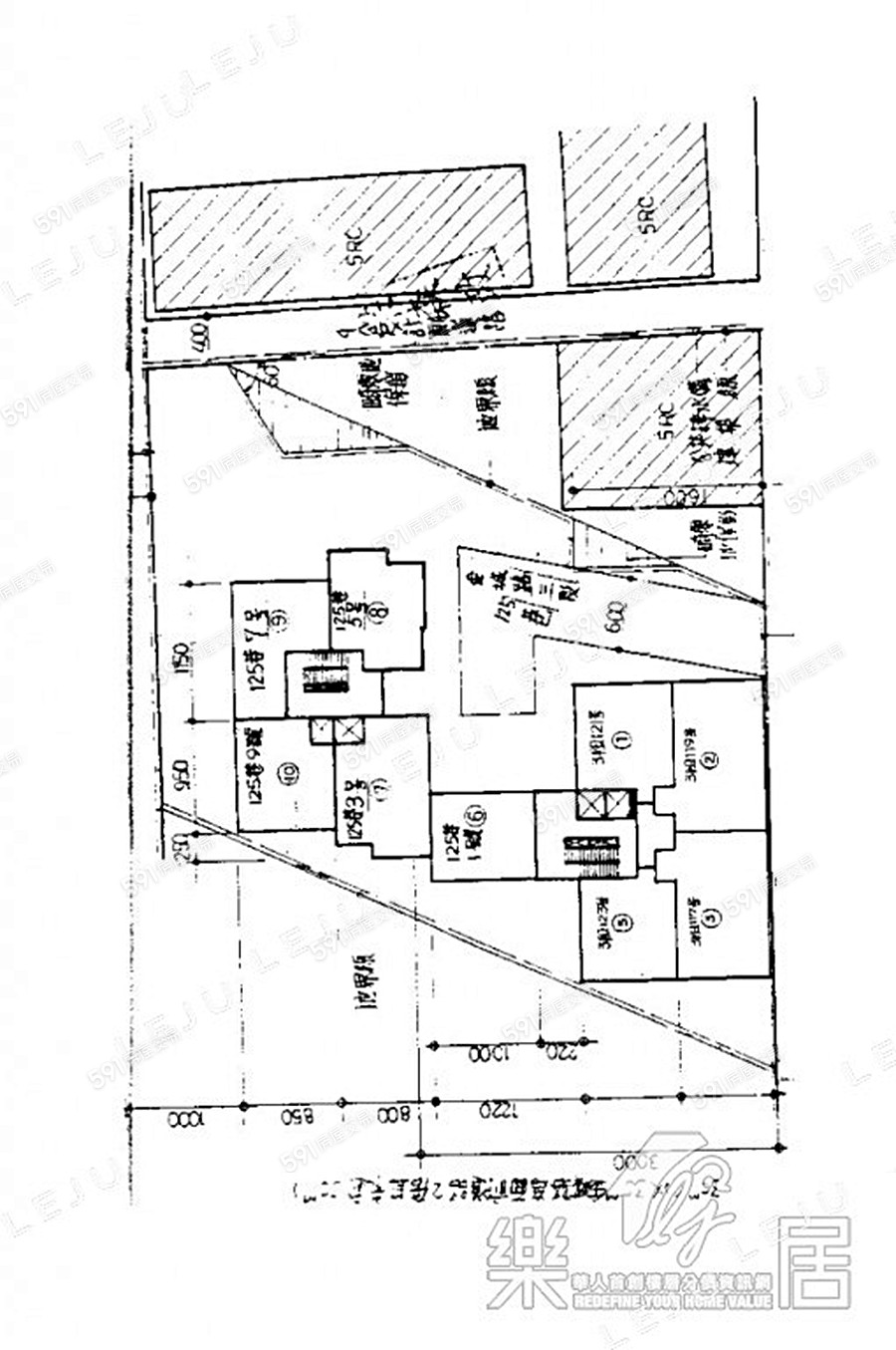
平面圖(3)
沒有更多了唷~
打開影音連結